






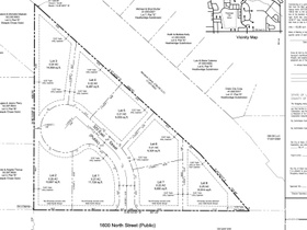
Rare west Hooper Farm offering Includes Weber County Parcels 10-019-0054 and 10-185-0001 (2.57 Ac) Hooper City Approved Building Lot. Soils Report on File, Perc Tested and Approved. Build your Tribe a compound in still sleepy west Hooper UT. 15 minutes to Ogden yet quiet and rural in western Weber County. Working farm offered with water and buildable land. First lot is build approved (shaded area on map), others could follow as desired to grow perfect equestrian/ livestock properties with highly fertile land, from individual small scaled family farms to legacy anchorings. (R-1 zoning for min 1 acre+ lots, as you choose). Great 1031. 13 shares Hooper Irrigation.
5319 S 7100 W was listed on Nov 21st, 2023 by Realtypath LLC (Pro), a real estate brokerage. 801-814-7175 is the contact info for the listing brokerage contact assigned for this listing.
TonyFantis.com shows ALL available properties from the MLS in Utah (WFRMLS), including any property that is pending, under contract, accepting backup offers, or actively seeking buyers.